Ants Extermination Service Projects
Examples of Ants Extermination Service work homeowners may request in Rock Hill, SC.
Repairs & Upgrades
Common improvement and repair situations that come up around properties in Rock Hill, SC.
Project Ideas
A quick look at styles, layouts, and finishes people consider for Ants Extermination Service in Rock Hill, SC.
Ants Extermination Service in Rock Hill, SC
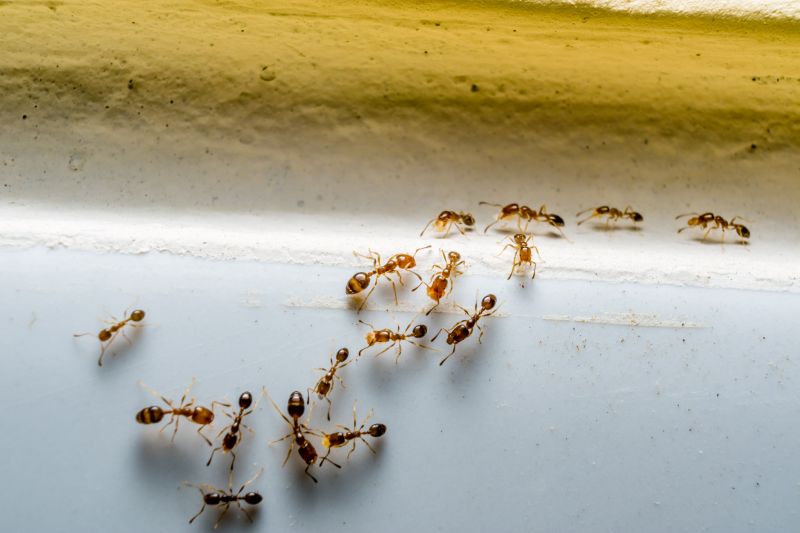
Ants extermination services focus on identifying and eliminating ant infestations within residential properties. These services typically cover a range of projects, including treating indoor areas such as kitchens, basements, and wall voids, as well as outdoor spaces like yards, gardens, and perimeter foundations. Homeowners often seek assistance when noticing ant trails, nests, or increased activity, and they want to understand the scope of treatment, potential entry points, and how to prevent future invasions.
Before requesting ant extermination, property owners usually want to know what types of ants are present, as different species may require specific treatment methods. Clarification on the extent of the infestation, the areas that will be treated, and any necessary follow-up steps is also common. Understanding the process and what to expect can help homeowners make informed decisions about managing ant problems effectively.
Many property owners in Rock Hill, SC look into Ants Extermination Service for repairs, replacements, upgrades, and appearance-related improvements.
Common Ants Extermination Service Jobs
Ants Extermination - targeted treatments to eliminate ant colonies from residential properties.
Kitchen and Pantry Pest Control - removal of ants nesting in food storage areas.
Outdoor Ant Control - barrier treatments to prevent ant entry around the home’s perimeter.
Indoor Ant Removal - interior treatments to address ant invasions in living spaces.
Preventative Ant Treatments - ongoing solutions to reduce the risk of future ant infestations.
Ant Inspection Services - thorough assessments to identify ant activity and nesting sites.
Ants Extermination Service Questions
Request Ants Extermination Service in Rock Hill, SC
Use the quote form on this page to share the basics of your project and request more information for the type of work you need.