Ants Extermination Service Projects
Examples of Ants Extermination Service work homeowners may request in Huntersville, NC.
Repairs & Upgrades
Common improvement and repair situations that come up around properties in Huntersville, NC.
Project Ideas
A quick look at styles, layouts, and finishes people consider for Ants Extermination Service in Huntersville, NC.
Ants Extermination Service in Huntersville, NC
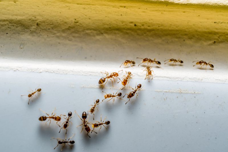
Ants extermination services focus on identifying and eliminating ant infestations within residential properties. These services typically cover a range of projects, including treating common household ants such as odorous house ants, pavement ants, and carpenter ants, as well as addressing outdoor colonies that may threaten the home. Property owners often seek these services when noticing ant trails, nests, or unusual activity around their property, aiming to prevent damage and restore comfort to their living spaces.
Before requesting ant extermination, homeowners usually want to understand the extent of the infestation, the types of ants involved, and the treatment options available. It’s helpful to consider the locations where ants are most active, such as kitchens, bathrooms, or exterior areas, and to inquire about any precautions or preparations needed prior to treatment. Clear communication about the property’s layout and the severity of the problem can assist in selecting the most effective approach for long-term control.
Many property owners in Huntersville, NC look into Ants Extermination Service for repairs, replacements, upgrades, and appearance-related improvements.
Common Ants Extermination Service Jobs
Ants Extermination - targeted treatments to eliminate ant colonies from residential properties.
Kitchen and Pantry Pest Control - specialized services to remove ants from food storage areas.
Outdoor Ant Barrier Treatments - applications around the perimeter to prevent ant entry.
Indoor Ant Removal - thorough inspection and treatment to address indoor infestations.
Ant Activity Inspection - assessment of property to identify ant nesting sites and entry points.
Preventive Ant Control Advice - recommendations to reduce the likelihood of future ant problems.
Ants Extermination Service Questions
How do ant extermination services work? They typically involve inspecting the property, identifying ant entry points, and applying targeted treatments to eliminate nests and prevent re-infestation.
What types of ants are commonly treated? Commonly treated ants include odorous house ants, carpenter ants, and pavement ants, among others found in residential and commercial properties.
Are treatments safe for pets and children? Many treatments are designed to be safe when applied according to guidelines, but it’s recommended to keep pets and children away from treated areas until dry.
What property issues can ant infestations cause? Ant infestations can lead to damaged wood, contamination of food supplies, and increased attraction of other pests if not addressed promptly.
Request Ants Extermination Service in Huntersville, NC
Use the quote form on this page to share the basics of your project and request more information for the type of work you need.