Ants Extermination Service Projects
Examples of Ants Extermination Service work homeowners may request in Locust, NC.
Repairs & Upgrades
Common improvement and repair situations that come up around properties in Locust, NC.
Project Ideas
A quick look at styles, layouts, and finishes people consider for Ants Extermination Service in Locust, NC.
Ants Extermination Service in Locust, NC
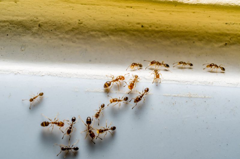
Ants extermination services focus on identifying and eliminating ant infestations within residential properties. These services typically cover a range of projects, including treating indoor and outdoor areas where ants are active, such as kitchens, basements, gardens, and lawns. Property owners often seek assistance when noticing ant trails, nests, or increased activity, aiming to restore a pest-free environment and prevent future invasions. Understanding the extent of the infestation and the types of ants involved can help determine the most effective treatment approach.
Homeowners should consider factors like the size of the affected area, the presence of visible nests, and any specific ant species encountered, as these details influence the scope of the project. It's also helpful to know whether the infestation is localized or widespread and if there are particular areas of concern, such as food storage zones or entry points. Clarifying these points can ensure the service addresses the problem thoroughly and efficiently, providing peace of mind and long-lasting results.
Many property owners in Locust, NC look into Ants Extermination Service for repairs, replacements, upgrades, and appearance-related improvements.
Common Ants Extermination Service Jobs
Ants Extermination - targeted treatments to eliminate ant colonies from residential and commercial properties.
Kitchen and Pantry Pest Control - removal of ants nesting in food storage areas to prevent infestations.
Outdoor Ant Control - application of treatments around lawns, patios, and foundations to reduce ant activity.
Indoor Ant Removal - thorough inspection and treatment of interior spaces where ants are present.
Preventive Ant Treatments - barrier methods to deter future ant invasions and protect property.
Ant Activity Monitoring - ongoing inspections to identify and address ant problems early.
Ants Extermination Service Questions
What signs indicate an ant infestation? Presence of trails, ant sightings indoors, or small piles of debris near entry points suggest an infestation.
How do ant extermination services work? Treatments typically involve targeted application of insecticides and removal of attractants to eliminate colonies.
Are there common areas where ants enter homes? Ants often enter through cracks, gaps around windows and doors, and utility openings.
What steps can property owners take to prevent ants? Sealing entry points, removing food sources, and maintaining cleanliness help reduce ant activity.
Request Ants Extermination Service in Locust, NC
Use the quote form on this page to share the basics of your project and request more information for the type of work you need.