Ants Extermination Service Projects
Examples of Ants Extermination Service work homeowners may request in Mount Pleasant, NC.
Repairs & Upgrades
Common improvement and repair situations that come up around properties in Mount Pleasant, NC.
Project Ideas
A quick look at styles, layouts, and finishes people consider for Ants Extermination Service in Mount Pleasant, NC.
Ants Extermination Service in Mount Pleasant, NC
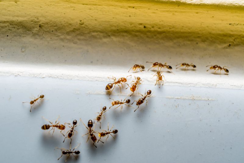
Ants extermination services focus on eliminating ant infestations within residential properties, helping homeowners restore comfort and safety. These services typically cover a range of projects, including treating kitchens, bathrooms, and other areas prone to ant activity, as well as preventing future invasions by identifying and addressing entry points and nesting sites. Property owners often seek information about the types of ants present, the extent of the infestation, and the most effective treatment options to ensure that their homes remain ant-free.
Before requesting ant extermination, homeowners usually want to understand the scope of the service, including whether it addresses both visible ants and potential nesting areas. Clarifying the methods used, any necessary preparations, and whether follow-up treatments are recommended can help property owners make informed decisions. Additionally, understanding the safety precautions and any impact on household activities ensures that the treatment aligns with their needs and expectations.
Many property owners in Mount Pleasant, NC look into Ants Extermination Service for repairs, replacements, upgrades, and appearance-related improvements.
Common Ants Extermination Service Jobs
Ants Extermination - targeted treatments to eliminate ant colonies inside and outside the property.
Kitchen and Pantry Pest Control - removal of ants from food storage areas to prevent infestations.
Perimeter Barrier Treatments - applying barriers around the property to deter ant entry.
Spot Treatments - focused solutions for ant nests and visible trails.
Preventative Pest Management - strategies to reduce the likelihood of future ant problems.
Inspection Services - thorough assessments to identify ant activity and nesting sites.
Ants Extermination Service Questions
How do ants typically enter homes in Mount Pleasant, NC? Ants often find entry points around doors, windows, and foundation cracks, especially where gaps allow access indoors.
What signs indicate an ant infestation? Visible trails of ants, especially near food sources or entry points, and small piles of debris or discarded food can signal an infestation.
What areas are most vulnerable to ant activity? Kitchens, pantries, and areas with moisture or food sources tend to attract ants and are common spots for activity.
What is the recommended approach to ant extermination? A professional treatment typically involves targeted baiting and barrier methods to eliminate colonies and prevent future invasions.
Request Ants Extermination Service in Mount Pleasant, NC
Use the quote form on this page to share the basics of your project and request more information for the type of work you need.