Ants Extermination Service Projects
Examples of Ants Extermination Service work homeowners may request in Indian Trail, NC.
Repairs & Upgrades
Common improvement and repair situations that come up around properties in Indian Trail, NC.
Project Ideas
A quick look at styles, layouts, and finishes people consider for Ants Extermination Service in Indian Trail, NC.
Ants Extermination Service in Indian Trail, NC
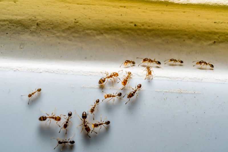
Ants extermination services focus on identifying and eliminating ant infestations within residential properties. These services typically cover a range of projects, including treating indoor and outdoor areas where ants are active, removing colonies located in walls or foundations, and applying targeted treatments to prevent future invasions. Homeowners often seek these services when noticing ant trails, nests, or increased activity around their property, aiming to restore comfort and prevent damage caused by persistent ant populations.
Before requesting ant extermination, property owners usually want to understand the scope of the treatment, the types of products used, and any necessary preparation steps. It’s also common to inquire about the safety of treatments around children and pets, as well as the expected outcomes and whether follow-up treatments might be needed. Clear communication about these aspects can help ensure the process is effective and aligns with the homeowner’s expectations.
Many property owners in Indian Trail, NC look into Ants Extermination Service for repairs, replacements, upgrades, and appearance-related improvements.
Common Ants Extermination Service Jobs
Ants Extermination - targeted treatments to eliminate ant colonies from residential and commercial properties.
Ant Control - effective solutions to prevent ant invasions and reduce future infestations.
Indoor Ant Removal - safe and thorough removal of ants inside homes and buildings.
Outdoor Ant Management - treatments to protect lawns, gardens, and exterior structures from ant activity.
Ant Prevention - strategies to block entry points and discourage ant re-entry.
Ant Inspection - detailed assessments to identify ant nests and infestation sources.
Ants Extermination Service Questions
How do ants typically enter homes? Ants often find entry points through small cracks, gaps around windows and doors, or openings around utility lines.
What are common signs of an ant infestation? Visible trails, ant mounds near the foundation, and ants inside the property are common indicators of an infestation.
What areas are most vulnerable to ant activity? Kitchens, bathrooms, and areas with food or moisture are most attractive to ants.
How can property owners prevent ant problems? Sealing entry points, removing food sources, and maintaining dry environments help reduce ant activity.
Request Ants Extermination Service in Indian Trail, NC
Use the quote form on this page to share the basics of your project and request more information for the type of work you need.