Ants Extermination Service Projects
Examples of Ants Extermination Service work homeowners may request in Iron Station, NC.
Repairs & Upgrades
Common improvement and repair situations that come up around properties in Iron Station, NC.
Project Ideas
A quick look at styles, layouts, and finishes people consider for Ants Extermination Service in Iron Station, NC.
Ants Extermination Service in Iron Station, NC
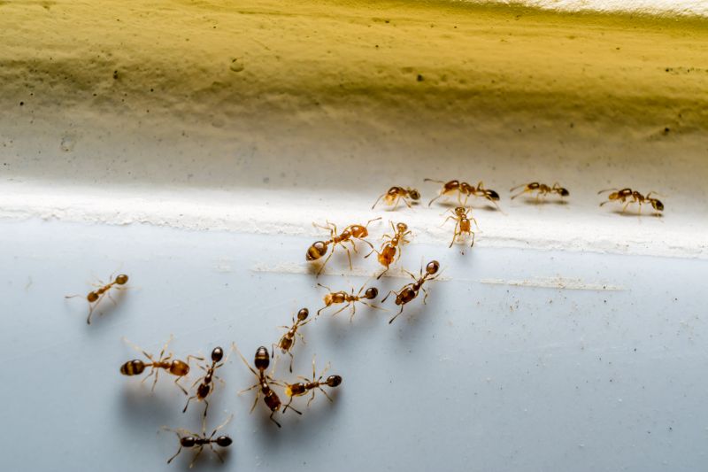
Ants extermination services focus on identifying and eliminating ant infestations within residential properties. These services typically address a variety of ant species, including common household ants and invasive types that may invade kitchens, basements, or outdoor areas. Projects often involve inspecting the property to locate ant colonies, applying targeted treatments to eliminate active nests, and implementing preventative measures to reduce future invasions. Homeowners usually want to understand the extent of the infestation, the types of treatments used, and any precautions needed during and after the service.
Property owners requesting ant extermination often seek guidance on how to prepare their space for treatment and what areas require special attention, such as food storage or pet areas. They may also inquire about the duration of the treatment's effectiveness and any recommended follow-up actions. Clear communication about the scope of the service and the methods employed helps ensure that homeowners can make informed decisions about managing ant issues on their property.
Many property owners in Iron Station, NC look into Ants Extermination Service for repairs, replacements, upgrades, and appearance-related improvements.
Common Ants Extermination Service Jobs
Ants Extermination - targeted treatments to eliminate ant colonies from residential and commercial properties.
Ants Prevention - strategies to reduce attractants and prevent future ant infestations.
Indoor Ant Control - removal methods for ants found inside kitchens, basements, and living areas.
Outdoor Ant Treatments - applications around the perimeter to protect against outdoor ant entry.
Ant Nest Removal - identification and elimination of ant nests in lawns, gardens, and structures.
Ant Infestation Inspection - thorough assessments to locate sources and assess the extent of ant activity.
Ants Extermination Service Questions
What signs indicate an ant infestation? Presence of ant trails, scattered crumbs, or small piles of dirt near entry points may suggest an active nest.
How do ant extermination services work? The process typically involves identifying ant entry points, applying targeted treatments, and removing visible colonies.
Are ant treatments safe for pets and children? Yes, the products used are generally safe when applied according to instructions and kept away from direct contact.
What types of ants are commonly treated? Commonly treated ants include odorous house ants, carpenter ants, and pavement ants.
Request Ants Extermination Service in Iron Station, NC
Use the quote form on this page to share the basics of your project and request more information for the type of work you need.