Ant Control Service Projects
Examples of Ant Control Service work homeowners may request in Midland, NC.
Repairs & Upgrades
Common improvement and repair situations that come up around properties in Midland, NC.
Project Ideas
A quick look at styles, layouts, and finishes people consider for Ant Control Service in Midland, NC.
Ant Control Service in Midland, NC
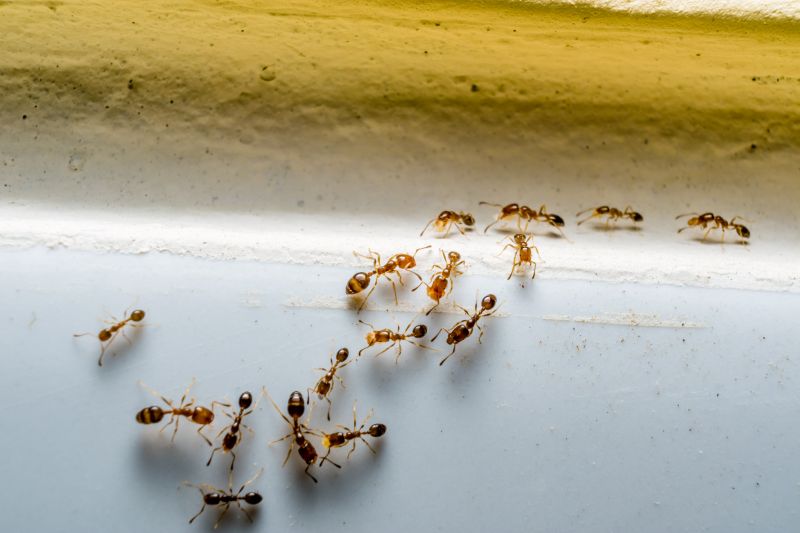
Ant control services focus on identifying, eliminating, and preventing ant infestations within residential properties. These services typically cover a range of projects, including treating indoor areas such as kitchens, basements, and wall voids, as well as exterior zones like lawns, gardens, and foundation perimeters. Property owners often seek these services when noticing ant trails, nests, or recurring activity, aiming to restore a pest-free environment and prevent future invasions.
Before requesting ant control services, homeowners should consider the extent of the infestation, the types of ants involved, and any specific areas of concern within the property. Understanding the scope of the problem helps determine the most effective treatment approach, whether it involves targeted baiting, barrier treatments, or comprehensive nest removal. Clear communication about problem areas and activity patterns can assist in selecting the most appropriate solution for maintaining a pest-free home.
Many property owners in Midland, NC look into Ant Control Service for repairs, replacements, upgrades, and appearance-related improvements.
Common Ant Control Service Jobs
Ant Extermination - targeted treatments to eliminate ant colonies from residential properties.
Indoor Ant Control - solutions to remove ants from kitchens, basements, and other indoor areas.
Outdoor Ant Management - barrier treatments to prevent ant invasions around the property perimeter.
Ant Nest Removal - excavation and removal of underground or visible ant nests.
Preventive Ant Treatments - ongoing applications to reduce the risk of future ant infestations.
Ant Inspection Services - thorough assessments to identify ant activity and entry points.
Ant Control Service Questions
What are signs of an ant infestation? Visible trails, ant mounds, and finding ants indoors are common indicators of an infestation.
How do ant control services work? They identify entry points and use targeted treatments to eliminate ants and prevent future nesting.
Are ant treatments safe for pets and children? Yes, professional treatments are designed to be safe when applied according to guidelines.
What types of ants are typically treated? Commonly treated ants include odorous house ants, carpenter ants, and pavement ants.
Request Ant Control Service in Midland, NC
Use the quote form on this page to share the basics of your project and request more information for the type of work you need.