Ants Extermination Service Projects
Examples of Ants Extermination Service work homeowners may request in Cabarrus County, NC.
Repairs & Upgrades
Common improvement and repair situations that come up around properties in Cabarrus County, NC.
Project Ideas
A quick look at styles, layouts, and finishes people consider for Ants Extermination Service in Cabarrus County, NC.
Ants Extermination Service in Cabarrus County, NC
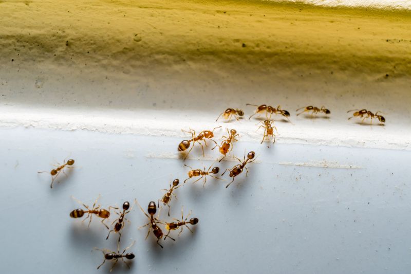
Ants extermination services focus on identifying and eliminating ant colonies that invade residential properties. Property owners typically request this service when noticing ant trails, nests, or signs of infestation indoors or outdoors. The process involves assessing the extent of the ant problem, locating nests, and applying targeted treatments to eradicate the colony. Ant control projects can range from small indoor infestations to extensive outdoor ant mounds, and the goal is to remove the pests efficiently while preventing future invasions.
Before requesting ant extermination, homeowners usually want to understand the types of ants present, the methods used to eliminate them, and any necessary follow-up treatments. It’s also helpful to know about the treatment options available, whether they are safe for children and pets, and how long the results are expected to last. Proper identification of the ant species can influence the most effective approach, making it important for property owners to provide detailed descriptions or observations of the infestation when seeking assistance.
Many property owners in Cabarrus County, NC look into Ants Extermination Service for repairs, replacements, upgrades, and appearance-related improvements.
Common Ants Extermination Service Jobs
Ants Extermination - targeted treatments to eliminate ant infestations from residential and commercial properties.
Kitchen and pantry pest control - removal of ants nesting in food storage areas to prevent contamination.
Outdoor ant barrier services - application of treatments around the property perimeter to prevent ant entry.
Spot treatment for visible ants - quick response to eliminate ants found inside the home or on the property.
Ant nest removal - locating and removing ant colonies to reduce recurring problems.
Preventive ant control - ongoing solutions to keep ants from returning after initial treatment.
Ants Extermination Service Questions
What attracts ants to properties in Cabarrus County? Ants are drawn to food sources, water, and shelter around homes and buildings, making these common entry points for infestations.
What are common signs of an ant infestation? Signs include visible ants indoors or outdoors, ant trails, and the presence of small piles of dirt or debris near entry points.
What areas are most vulnerable to ant problems? Kitchens, bathrooms, and areas with moisture or food crumbs are especially prone to ant activity.
How can property owners prevent ant infestations? Keeping surfaces clean, sealing entry points, and removing food and water sources help reduce the risk of ants invading a property.
Request Ants Extermination Service in Cabarrus County, NC
Use the quote form on this page to share the basics of your project and request more information for the type of work you need.