Ants Extermination Service Projects
Examples of Ants Extermination Service work homeowners may request in Denver, NC.
Repairs & Upgrades
Common improvement and repair situations that come up around properties in Denver, NC.
Project Ideas
A quick look at styles, layouts, and finishes people consider for Ants Extermination Service in Denver, NC.
Ants Extermination Service in Denver, NC
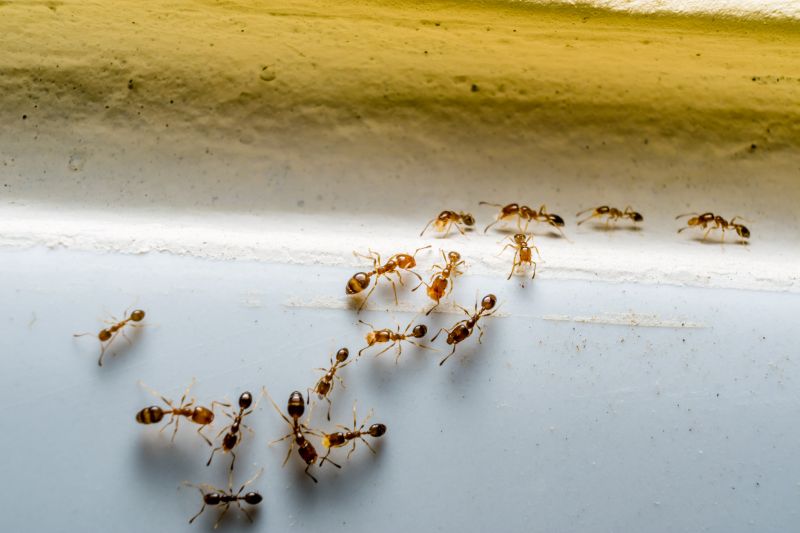
Ants extermination services focus on identifying and removing ant infestations from residential properties. These services typically address a variety of ant species common in the Denver, NC area, including carpenter ants, odorous house ants, and pavement ants. Projects may involve inspecting the property to locate nests, applying targeted treatments to eliminate colonies, and implementing preventative measures to reduce the risk of future invasions. Homeowners often seek these services when noticing ant trails, discovering nests indoors or outdoors, or experiencing recurring ant problems despite previous efforts.
Before requesting ant extermination, property owners usually want to understand the scope of the infestation, the types of treatment options available, and any necessary preparations to facilitate the process. It is helpful to know whether the service includes both interior and exterior treatments, and if follow-up visits are recommended. Clarifying these details can ensure the chosen solution effectively addresses the problem and minimizes disruptions to the household.
Many property owners in Denver, NC look into Ants Extermination Service for repairs, replacements, upgrades, and appearance-related improvements.
Common Ants Extermination Service Jobs
Ants Extermination - effective removal of ant colonies from residential and commercial properties.
Kitchen and Pantry Treatments - targeted solutions to eliminate ants in food storage areas.
Exterior Barrier Treatments - application of repellents around the property to prevent ant entry.
Spot Treatments - focused treatment of visible ant trails and nests for quick relief.
Preventive Pest Control - ongoing services to reduce the risk of future ant infestations.
Deep Nest Eradication - thorough removal of ant nests in walls, foundations, and outdoor areas.
Ants Extermination Service Questions
How do ant extermination services work? The process involves identifying ant entry points, applying targeted treatments, and preventing future infestations through ongoing monitoring.
What types of ant problems are addressed? Services typically handle common household ants, including odorous house ants, carpenter ants, and pavement ants.
Are treatments safe for pets and children? Yes, professional treatments use products that are safe when applied according to guidelines and kept away from children and pets during and after application.
What should homeowners do before a treatment? It is recommended to keep areas clean, remove food and water sources, and clear clutter near ant activity to improve treatment effectiveness.
Request Ants Extermination Service in Denver, NC
Use the quote form on this page to share the basics of your project and request more information for the type of work you need.