Ant Control Service Projects
Examples of Ant Control Service work homeowners may request in Indian Trail, NC.
Repairs & Upgrades
Common improvement and repair situations that come up around properties in Indian Trail, NC.
Project Ideas
A quick look at styles, layouts, and finishes people consider for Ant Control Service in Indian Trail, NC.
Ant Control Service in Indian Trail, NC
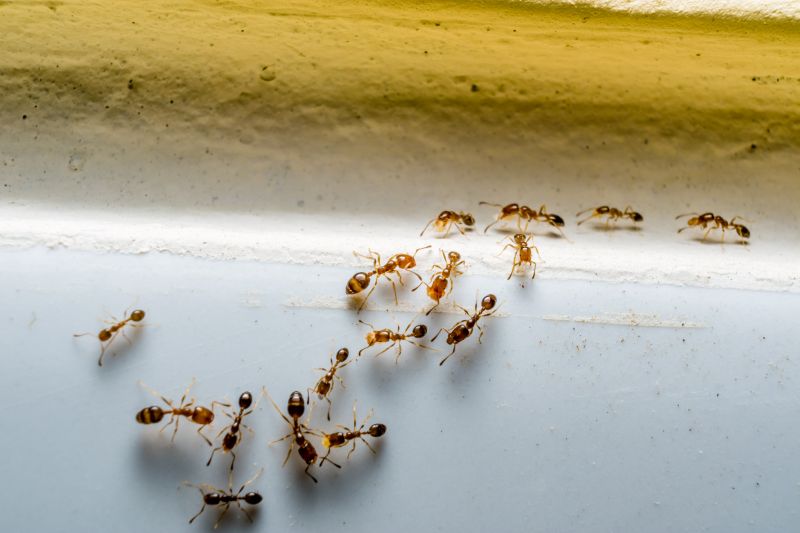
Ant control services focus on identifying and eliminating ant infestations within residential properties. These services typically cover a variety of projects, including treating indoor spaces where ants are active, sealing entry points to prevent future invasions, and implementing barrier treatments around the perimeter of the property. Homeowners often seek these services when noticing ant trails, nests, or increased activity around kitchens, bathrooms, or other areas where food and moisture are present.
Before requesting ant control, property owners usually want to understand the extent of the infestation, the types of ants involved, and the most effective treatment options for their specific situation. It’s also helpful to know about any potential entry points or conditions that might attract ants, such as standing water or food sources, so that integrated pest management strategies can be tailored accordingly. Clear communication about the scope of work and expectations can help ensure the most effective and lasting results.
Many property owners in Indian Trail, NC look into Ant Control Service for repairs, replacements, upgrades, and appearance-related improvements.
Common Ant Control Service Jobs
Ant control treatments - targeted applications to eliminate ant colonies and prevent future infestations.
Ant nest removal - excavation and removal of ant nests found around the property.
Barrier prevention services - installation of physical or chemical barriers to keep ants out.
Indoor ant management - interior treatments to address ant activity inside homes and buildings.
Sanitation and clutter reduction - advice on reducing attractants that draw ants indoors.
Inspection and monitoring - regular checks to identify ant activity and assess control effectiveness.
Ant Control Service Questions
What are signs of an ant infestation? Common signs include visible ants indoors, trails along walls or windows, and small piles of dirt or debris near entry points.
How do ant control services work? These services typically involve identifying entry points, applying targeted treatments, and providing recommendations to prevent future invasions.
Are ant control treatments safe for homes with children or pets? Yes, professional treatments use products designed to be safe when applied properly and according to guidelines.
What types of ant species are commonly treated? Commonly treated species include odorous house ants, pavement ants, and carpenter ants.
Request Ant Control Service in Indian Trail, NC
Use the quote form on this page to share the basics of your project and request more information for the type of work you need.