Ant Control Service Projects
Examples of Ant Control Service work homeowners may request in Concord, NC.
Repairs & Upgrades
Common improvement and repair situations that come up around properties in Concord, NC.
Project Ideas
A quick look at styles, layouts, and finishes people consider for Ant Control Service in Concord, NC.
Ant Control Service in Concord, NC
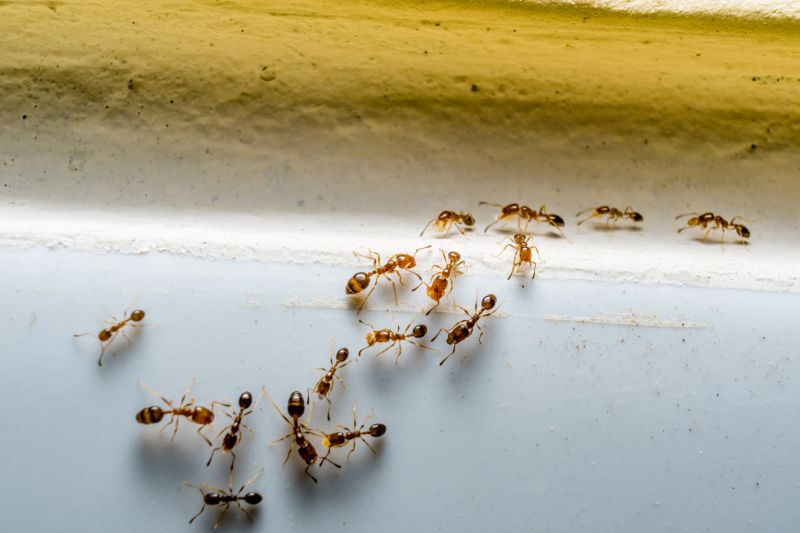
Ant control services focus on eliminating ants from residential properties and preventing future infestations. These services typically cover a range of projects, including identifying ant species, locating nests, and applying targeted treatments to indoor and outdoor areas such as kitchens, basements, lawns, and garden beds. Homeowners often seek these services when noticing ant trails, unusual ant activity, or signs of nests in walls or beneath the foundation, aiming to restore comfort and prevent damage caused by persistent ant colonies.
Before requesting ant control services, property owners usually want to understand the extent of the infestation, the types of treatments used, and any necessary preparations or follow-up actions. It is helpful to know if the service includes inspection, treatment options suitable for different ant species, and recommendations for long-term prevention. Clear communication about the scope of work can ensure effective results and help maintain a pest-free environment.
Many property owners in Concord, NC look into Ant Control Service for repairs, replacements, upgrades, and appearance-related improvements.
Common Ant Control Service Jobs
Ant Control Services - eliminate ant infestations effectively around residential and commercial properties.
Nest Removal - identify and remove ant nests to prevent recurring problems.
Barrier Treatments - apply targeted treatments to create a protective barrier against ants.
Inspection Services - assess property for ant activity and potential nesting sites.
Preventive Solutions - implement strategies to reduce the likelihood of future ant invasions.
Infestation Management - control existing ant populations to restore a pest-free environment.
Ant Control Service Questions
How do ant control services work? They identify ant entry points and nesting areas, then apply targeted treatments to eliminate colonies and prevent future infestations.
What types of ants are typically treated? Common treatments address species like carpenter ants, odorous house ants, and fire ants found in residential areas.
Are ant control services safe for pets and children? Yes, treatments are designed to be safe when properly applied, minimizing risks to household members.
When should property owners consider ant control? When ants are seen indoors or around the property consistently, indicating a potential infestation.
Request Ant Control Service in Concord, NC
Use the quote form on this page to share the basics of your project and request more information for the type of work you need.