Ants Extermination Service Projects
Examples of Ants Extermination Service work homeowners may request in Monroe, NC.
Repairs & Upgrades
Common improvement and repair situations that come up around properties in Monroe, NC.
Project Ideas
A quick look at styles, layouts, and finishes people consider for Ants Extermination Service in Monroe, NC.
Ants Extermination Service in Monroe, NC
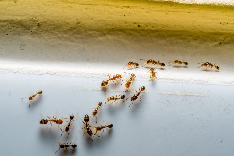
Ants extermination services are designed to effectively eliminate ant colonies and prevent future infestations in residential properties. These services typically address common ant species found in Monroe, NC, such as carpenter ants, odorous house ants, and pavement ants. Projects may involve identifying the source of the infestation, applying targeted treatments to affected areas, and implementing preventative measures to keep ants from returning. Homeowners often seek this service when noticing ant trails, nests near the foundation, or signs of activity inside the home, aiming to restore comfort and hygiene.
Before requesting ants extermination, property owners should consider the extent of the infestation, the locations affected, and any specific concerns about safety or property damage. It is helpful to understand whether the treatment will involve indoor or outdoor applications, and if there are pets or children that require special precautions. Clear communication about the areas of concern and any previous pest control efforts can assist in planning an effective approach. Proper assessment ensures that the treatment addresses the problem thoroughly and reduces the likelihood of recurring ant issues.
Many property owners in Monroe, NC look into Ants Extermination Service for repairs, replacements, upgrades, and appearance-related improvements.
Common Ants Extermination Service Jobs
Ants Extermination - targeted treatments to eliminate ant colonies from residential properties.
Kitchen and Pantry Pest Control - removal of ants nesting in food storage areas and cabinets.
Outdoor Ant Control - barrier treatments to prevent ants from entering through entry points.
Indoor Ant Removal - thorough inspection and treatment of ant activity inside homes.
Ant Prevention Services - strategies to reduce attractants and discourage future infestations.
Ant Nest Identification - locating and treating outdoor nests to control ant populations effectively.
Ants Extermination Service Questions
How do ants typically enter homes in Monroe, NC? Ants often find entry points around windows, doors, and foundation cracks, especially during warmer months.
What are common signs of an ant infestation? Visible ant trails, small piles of dirt or debris near entry points, and ants inside the property indicate an infestation.
What areas are most affected by ant problems? Kitchens, pantries, and areas with food or moisture are most attractive to ants and commonly affected.
What should property owners do before extermination services? Remove food sources, seal entry points, and keep surfaces clean to help reduce ant activity before treatment.
Request Ants Extermination Service in Monroe, NC
Use the quote form on this page to share the basics of your project and request more information for the type of work you need.