Ants Extermination Service Projects
Examples of Ants Extermination Service work homeowners may request in Fort Mill, SC.
Repairs & Upgrades
Common improvement and repair situations that come up around properties in Fort Mill, SC.
Project Ideas
A quick look at styles, layouts, and finishes people consider for Ants Extermination Service in Fort Mill, SC.
Ants Extermination Service in Fort Mill, SC
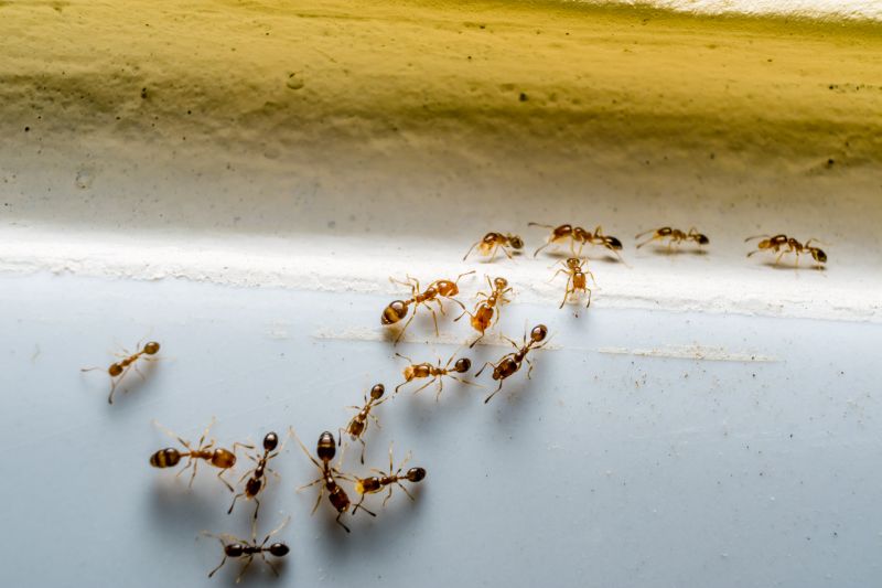
Ants extermination services focus on identifying and eliminating ant infestations in residential properties. These services cover a variety of projects, including treating indoor and outdoor areas where ants are active, such as kitchens, basements, yards, and garden beds. Property owners typically seek assistance when noticing ant trails, nests, or increased activity around their home, aiming to prevent damage and maintain a pest-free environment.
Before requesting ant extermination, homeowners usually want to understand the extent of the infestation, the types of ants present, and the most effective treatment options available. It’s also common to inquire about the safety of treatment methods for children and pets, as well as any recommended follow-up measures to ensure long-term control. Proper assessment helps determine the best approach to resolve ant problems efficiently and prevent future re-infestations.
Many property owners in Fort Mill, SC look into Ants Extermination Service for repairs, replacements, upgrades, and appearance-related improvements.
Common Ants Extermination Service Jobs
Ants Extermination - targeted treatments to eliminate ant colonies from residential and commercial properties.
Kitchen & Pantry Pest Control - removal of ants nesting in food storage areas to prevent infestations.
Outdoor Ant Control - barrier treatments around the property perimeter to stop ant entry.
Indoor Ant Removal - thorough inspection and treatment of ant activity inside the home.
Preventive Ant Treatments - ongoing solutions to keep ants from returning after initial removal.
Ant Nest Eradication - specialized techniques to locate and eliminate underground and hidden nests.
Ants Extermination Service Questions
What are common signs of an ant infestation? Visible ant trails, small piles of dirt, and damaged plants may indicate an ant problem on the property.
What areas are typically targeted in ant extermination? Kitchens, bathrooms, and areas with moisture or food sources are common spots for ant activity.
How can property owners prevent future ant issues? Sealing entry points, removing food sources, and keeping the property clean can help reduce ant activity.
What types of ants are usually treated in extermination services? Commonly targeted ants include odorous house ants, carpenter ants, and pavement ants.
Request Ants Extermination Service in Fort Mill, SC
Use the quote form on this page to share the basics of your project and request more information for the type of work you need.